Site Logo
Redmond council approves Overlake’s Seritage development

News

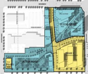
Redmond council approves Overlake’s Seritage development

The approval paves the way for mixed-use development on 14-acres in the Overlake neighborhood.

New study confirms historical presence of grizzlies in Washington

News

New study confirms historical presence of grizzlies in Washington

The federal government hopes to rebuild a dwindling Washington grizzly population.

A rendering of Verizon’s light pole small cell implementation designs for Kirkland. Courtesy of the city of Kirkland

News

The race is on to build out 5G on the Eastside

Verizon and Mobilitie have submitted several applications to install the small cell network facilities around Bellevue.

Single-payer advocates push for health care reform

News

Single-payer advocates push for health care reform

A growing number of voices on the left are campaigning for a profit-free health system.

A salmon. File photo

News

State Fish and Wildlife seeks $60 million in funding

The department is facing a $33 million shortfall and also hopes to secure future funding.

Bake’s Place thriving in Bellevue

Business

Bake’s Place thriving in Bellevue

The restaurant and venue has been in downtown Bellevue for the last seven years.

Toll Brothers has applied for a rezone of the Newport Hills Shopping Center site to allow residential, retail and services. Aaron Kunkler/staff photo

News

Toll Bros withdraws Newport Hills rezone application

The company has withdrawn a proposal to rezone a shopping center in the south Bellevue neighborhood.

A video has surfaced which shows a trainer at Bothell’s Academy of Canine Behavior hitting a dog with a plastic bat.

News

Snohomish County: Claims of animal abuse against Bothell kennel not substantiated

A video showing a trainer using a plastic bat to train a dog was not animal abuse, county…

Air quality is worse in the west due to bigger wildfires

News

Air quality is worse in the west due to bigger wildfires

A study released last week shows air quality in much of the west is worsening.

Video of Bothell-based trainer hitting dog with bat prompts social media outrage

News

Video of Bothell-based trainer hitting dog with bat prompts social media outrage

Kennel’s owners Jack and Colleen McDaniel said they have received hundreds of threats.

FogRose offers flash-frozen ice cream

Business

FogRose offers flash-frozen ice cream

The Bellevue shop makes custom orders of ice cream to-order.

Where’s the music on Seattle’s Eastside?

News

Where’s the music on Seattle’s Eastside?

Venues struggle to cut mustard in the booming Seattle area’s outer edges.

Bellevue-based construction company has license suspended

Business

Bellevue-based construction company has license suspended

Quality Construction stiffed workers for $142,500 while working on two public schools.

Fish culverts ruling will increase price tag for the state

News

Fish culverts ruling will increase price tag for the state

The state will be on the line for $3.7 billion for fish culvert replacements.

Bike share, lanes coming to Bellevue this month

News

Bike share, lanes coming to Bellevue this month

July is shaping up to be an exciting month for Bellevue bicyclists.

Barrier that protects Eastside water to be repaired

News

Barrier that protects Eastside water to be repaired

The barrier protects a pipeline that delivers water to various Eastside cities and Seattle.

Activists turn in carbon fee signatures for November ballot

News

Activists turn in carbon fee signatures for November ballot

The carbon fee I-1631 has gathered enough signatures to be placed on the November ballot.

Bellevue Spring District development will add office, retail space

News

Bellevue Spring District development will add office, retail space

Pine Forest Properties is planning a new development which will add 889,000-square-feet of space.

The many hurdles from farm to table

News

The many hurdles from farm to table

From environmental regulations to expensive land, local farmers have a lot on their plate

Bellevue, Kirkland plan to bring self-driving vanpools to the Eastside

News

Bellevue, Kirkland plan to bring self-driving vanpools to the Eastside

Following a federal grant application, the vans could hit the streets beginning next spring.