Brewpub planned for Spring District
Published 11:55 am Monday, October 12, 2015
A brewpub will soon join the residences and offices planned for the new Spring District development in the Bel-Red corridor.
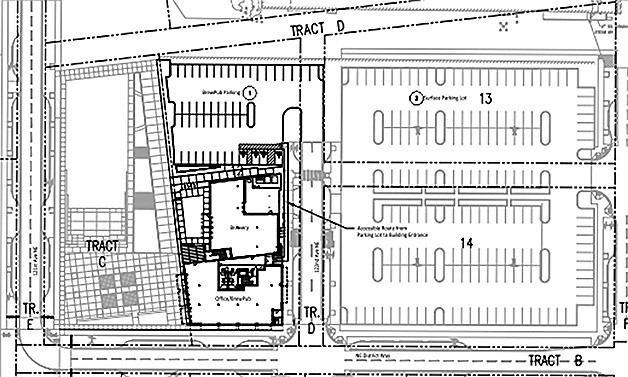
Developers filed paperwork last month for a new three-story mixed-use building with 10,000 square feet dedicated to a brewery and restaurant on the ground floor. The 4,700-square-foot brewery will be connected to a nearly 5,400-square-foot restaurant on the ground level, with nearly 14,300 square feet of office space located on the two upper levels. It also will include 70 parking spaces.
The brewery and restaurant are the first specific social aspects of the new development to be announced. “It’s designed as a central hub of activity which encourages interaction and idea generation,” said said spokesperson Forrest Carman.
A brewery has not yet been named for the development, Carman said. Depending on the negotiations, he said they could announce the brewery tenant in anywhere from a few weeks to a few months.
The block 12 office building and brewpub is set to begin construction in the spring along with 10 new residential buildings and two other office buildings as a part of phase 1A. The brewpub building will be the smallest of the phase 1A buildings, which will between nine and 11 stories.
Phase 1A also will include construction on the Global Innovation Exchange (GIX) academic institute, created by a partnership between the University of Washington and the Tsinghua University of Beijing, and supported by Microsoft. Students will begin classes in the building in the fall of 2017.
The entire 36-acre development, situated on the old Safeway Distribution Center site at the intersection of SR-520 and I-405, will be developed by Wright Runstad and Company. When it’s completed, the Spring District development will have more than 5.3 million square feet of space.
Phase 1A construction is scheduled to be complete in fall 2016.
